Becca is an adult Teacup Chihuahua with a broken leg. She is 14 years old, which is still quite young for a Chihuahua. Becca Dog is not one of those Chihuahuas that barks angrily at strangers, Becca is a lover, not a fighter.
A small piece of her elbow has broken off, and requires a delicate surgery. She is so tiny she has to see a specialist veterinarian with tools small enough to perform this sensitive operation. The veterinarian surgeon says that with the surgery, Becca can expect to regain the use of her leg. But we are on a time limit, the surgery must take place on or before April 24 of 2025 for the best chances of recovering.
Please donate to her cause so her leg can be fixed, and she can continue to have a long, happy, and active life with the family that loves her.
Without this operation she will have to either lose the leg, or live in pain. This surgery is too expensive for her family, and we hope you can find it in your heart to help save Becca's leg and restore her mobility.
Here is what her Veterinarian has to say...
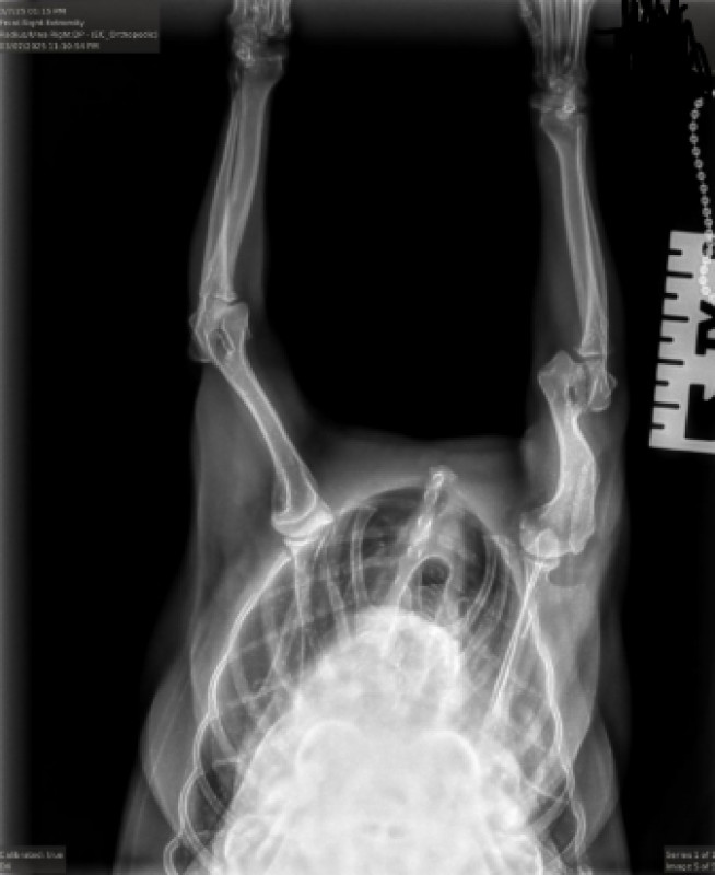
"Becca has an articular fracture of her right elbow that is now chronic. On repeat x-rays today,
the fracture has further displaced and this is not a fracture that will heal on it's own. Open surgical reduction to reduce and stabilize the
fracture or amputation are the best treatment options. If surgical intervention is not possible, I would remove the bandage/splint in 2-3
weeks as we will have sufficient scar tissue formed that the splint/bandage will no longer help her and we will eliminate the risk of
bandage complications.
Surgery involves an open approach to the elbow, reduction of the fracture fragments and stabilization with a trans-condylar bone screw
and anti-rotational pin. Given her age, I have also recommended a minimum of one shockwave treatment to stimulate bone healing.
Ideally we would have a second treatment at the 2 week mark, however this will add ~$400 to her total treatment cost.
I have discussed the surgery, expected recovery (~10-12 weeks) and prognosis (good with surgery). I have also discussed potential
complications. Potential complications include anesthetic complications that could result in death, implant or bone breakage, delayed
union, residual lameness, dehiscence or breakdown of the incision and surgical site infections.
Sincerely,
John
John Davies, DVM, DACVS-SA
Diplomate, American College of Veterinary Surgery





Please donate to comment.
{{dame(anonymous, user, donor_name)}} | {{curr(amount,'USD')}}
{{created_at_rel}}{{note}}